DÉTECTION
En France, les bambous attirent deux espèces de tétranyque phytophages : Stigmaeopsis celarius et Schizotetranychus bambusae. Comme presque tous les tétranyques, les femelles de S. celarius et S. bambusae sont visibles à l'oeil nu, leur longueur étant légèrement inférieure à 0,5 mm. Celles de S. bambusae ont un corps de forme ovale, tandis que celles de S. celarius sont plus losangiques. Ces deux espèces sont jaunâtres avec quelques ponctuations latérales sombres, ce qui correspond à la description des individus observés au revers des feuilles. La détermination spécifique requiert une analyse microscopique dans un laboratoire d'acarologie. Le dimorphisme sexuel est assez marqué avec des mâles plus petits.
Stigmaeopsis celarius et Schizotetranychus bambusae semblent provenir d'Extrême-Orient (Chine, Corée, Japon), où ils provoquent parfois de sérieux dégâts aux forêts de bambous. D'importantes attaques sont également signalées dans le sud et l'ouest des États-Unis. Stigmaeopsis celarius est l'espèce la plus fréquemment rencontrée en Europe occidentale (Belgique, France, Grande-Bretagne, Pays-Bas). Sa distribution géographique s'étend jusqu'en Australie, aux îles Hawaï et aux États-Unis où il a été signalé pour la première fois en Floride en 1917. Cet acarien a été observé sur une quinzaine d'espèces de bambous, mais aussi sur des grandes graminées (Miscanthus et canne à sucre). Il marque une préférence pour les Sasa à feuilles longues et colonise les genres Indocalamus, Phyllostachys (P. aurea, P. bambusoides, P. humilis, P. nigra, P. pubescens, P. viridiglaucescens), Pleioblastus, Pseudosasa (P. viridula) et Shibataea (S. kumasaca). Le tétranyque Schizotetranychus bambusae est seulement signalé au Caucase (Géorgie) et en France, hors de son aire d'origine asiatique. Sa gamme d'hôtes est également plus restreinte. En Asie, elle se limite à Phyllostachys aurea, P. nigra, P. pubescens, P. reticulata, Shibataea kumasaca ; et en France, à Phyllostachys aurea et Pleioblastus pumilus.
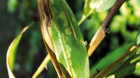
DÉGÂTS
Les pullulations se manifestent par températures élevées et lorsque les moyens de régulation naturelle sont insuffisants pour maintenir les populations à un niveau acceptable. Au cours des années 2000, les signalements de leurs attaques se sont distribumultipliés en France au fur et à mesure du développement de la production de bambous en pépinières et des plantations en espaces verts. En général, les acariens sont d'abord placés en marge du limbe ou le long de la nervure principale, puis colonisent l'ensemble du feuillage lors d'une pullulation. Les semis de taches claires de S. bambusae sont localisés en premier lieu dans la zone proche du pétiole, puis s'étendent au limbe. S. celarius s'alimente seulement lorsqu'il est protégé par sa toile. Les marques visibles sur la face supérieure de la feuille correspondent aux limites exactes de l'entoilement présent à la face inférieure. Les fortes attaques entraînent un dessèchement progressif du feuillage.
CONFUSIONS POSSIBLES
Les décolorations foliaires peuvent provenir d'une infestation d'insectes piqueurs de tissus (thrips) ou piqueurs-suceurs de sève (pucerons, cicadelles, cochenilles). Des acariens phytophages, autres que les tétranyques, sont recensés sur les bambous. Il s'agit d'espèces microscopiques de phytoptes (Eriophyidae) ou de tarsonèmes (Tarsonemidae). Leurs piqûres provoquent des déformations prononcées des tissus.
DÉVELOPPEMENT
Les tétranyques des bambous se reproduisent par parthénogenèse arrhénotoque (les oeufs non fécondés donnent naissance à des mâles), et reproduction sexuée (les oeufs fécondés donnent naissance à des femelles). Le développement passe par sept stades successifs avant l'adulte, avec une alternance de stades mobiles et de stades immobiles, dont oeuf, larve, protonymphe et deutonymphe. La durée du cycle est similaire chez les deux espèces et varie fortement selon la température. Elle s'étale sur deux semaines à des températures proches de 22-24 °C, mais s'accomplit en seulement huit jours à une température de 33 °C chez S. bambusae. Les stades immatures exigent une température minimale moyenne de 12,5 °C pour se développer. Les femelles pondent jusqu'à près de quatre-vingts oeufs sur une période de quinze jours. Chez les deux espèces, les femelles fécondées hivernent dès la fin d'automne pour fonder de nouvelles colonies à partir du printemps suivant en conditions climatiques optimales. Pour s'alimenter, les deux espèces de tétranyques vident le contenu cellulaire du parenchyme et laissent à la place une bulle d'air provoquant une décoloration blanc nacré à jaune pâle des tissus, évoluant sous forme de nécrose. S. bambusae montre une préférence marquée pour les jeunes feuilles. Cet acarien tisse une toile peu dense, sans organisation apparente, tandis que S. celarius forme des « nids » soyeux. Il construit, avec cinq à six couches de fils superposées, une sorte de toit de 4 à 8 mm de long sous lequel s'abrite la colonie. Cet acarien appartient à un groupe d'espèces qualifiées de subsociales, gérant l'espace de manière structurée. Les individus demeurent dans leur nid pour se nourrir et pondre. Ils produisent des déjections noires dans des endroits retirés de leur site de reproduction et d'alimentation. Plusieurs individus mâles et femelles peuvent être observés dans un nid, et souvent, de nombreux nids sont formés les uns à côté des autres au revers des feuilles. Cet entoilement offre une protection efficace contre les prédateurs et les aléas climatiques. Les jeunes femelles le quittent uniquement pour fonder une nouvelle colonie.
En Asie, les adultes défendent leur progéniture contre un acarien prédateur (Typhlodromus bambusae). Ils se regroupent pour chasser les intrus hors de la colonie et tuent les immatures du prédateur.
Par Jérôme Jullien, expert horticole
Dossier du Lien horticole 1152 : En quête de synergies solaires
PROMOTION